Cecilia Pro
Cecilia Pro
  • Cell: +528118001432
  • Office: 8125560030
  • Email: ceciliapro@mdinmuebles.com

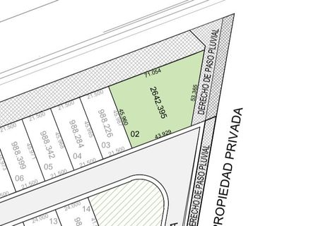
TERRENO INDUSTRIAL EN VENTA EN DOMINIO CUMBRES GARCIA

Dominio Cumbres, García

$12,023,000 For Sale

  • 2,642 m² Lot Size
  • 46 m Lot Length
  • 44 m Lot Width
  • 2017 Age
  • EB-SU6143 ID
Description

Terreno industrial urbanizado en venta dentro de Parque Industrial en García con acceso controlado y vigilancia las 24 horas. Lotes desde 986 m2 ideales para construir naves industriales o bodegas. Está situado sobre el Libramiento Noreste, cerca de la Avenida Lincoln, en uno de los corredores industriales más importantes entre los municipios de Monterrey y García.
Cuenta con los servicios de: Línea de agua potable, drenaje sanitario, infraestructura eléctrica, acceso controlado, pavimento para tráfico pesado, alumbrado led.
Precios y disponibilidad pueden cambiar sin previo aviso

Cecilia Pro
Cecilia Pro
  • Cell: +528118001432
  • Office: 8125560030
  • Email: ceciliapro@mdinmuebles.com