Via Inmuebles
Via Inmuebles
  • Cell: +528123946923
  • Office: 8125560030
  • Email: portales@gvia.mx

Paseo de Santa Rosa

Paseo de Santa Rosa 1S, Apodaca

$5,500,000 For Sale

  • 923 m² Lot Size
  • 2025 Age
  • EB-TW8836 ID
Description

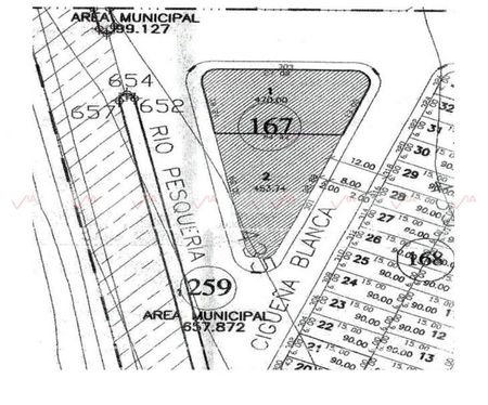
Terreno en venta residencial de un área de 923.74 m2 con excelente ubicación en zona de Santa Rosa, Apodaca N.L.
El terreno es plano, es manzana completa, en Avenida Río Pesquería, ideal para proyecto residencial o comercial, para desarrolladores, inversionistas o emprendedores que buscan una propiedad con alto potencial, ya que alrededor esta zona residencial con plusvalía.
El terreno tiene una ubicación estratégica en esquina que permite accesos independientes o doble fachada.
¡Ven a conocerlo! Id Gvia: 117920

Via Inmuebles
Via Inmuebles
  • Cell: +528123946923
  • Office: 8125560030
  • Email: portales@gvia.mx
Via Inmuebles
Via Inmuebles
  • Cell: +528123946923
  • Office: 8125560030
  • Email: portales@gvia.mx