Via Inmuebles
Via Inmuebles
  • Cell: +528123946923
  • Office: 8125560030
  • Email: portales@gvia.mx

Cadereyta

San Lorenzo, Cadereyta Jiménez

$850,000 For Sale

  • 911 m² Lot Size
  • 2023 Age
  • EB-QZ8634 ID
Description

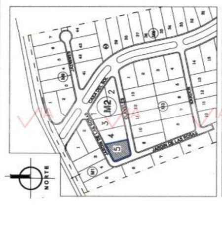
Se vende amplio terreno de usos mixtos en en municipio de Cadereyta, N.L. en el sector Villa Soleado.

El terreno se ubica en esquina dentro de un sector privado que cuenta con seguridad de caseta de vigilancia 24/7, el sector cuenta con servicios de agua y luz.

Terreno: 911.02 M2,

Listo para escriturar!!!!
Id Gvia: 113596

Amenities
  • Terrace
  • Garden
Via Inmuebles
Via Inmuebles
  • Cell: +528123946923
  • Office: 8125560030
  • Email: portales@gvia.mx